HURACAN HILARY
Volaris anuncia más de 20 vuelos cancelados por huracán Hilary
Agosto 20, 2023
Tras el paso del huracán Hilary en nuestro país, las aerolíneas deciden cancelar sus vuelos. Toma nota
Huracán "Hilary" no deja jugar en California
Agosto 19, 2023
El fenómeno meteorológico provocó la reprogramación delas ligas de  futbol y beisbol en Los Ángeles y San Diego
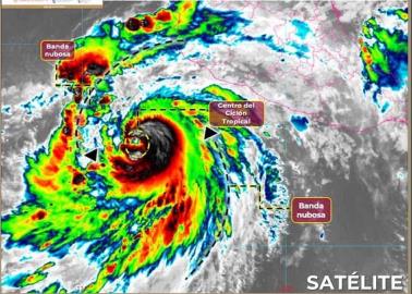
Huracán "Hilary" se desvanece a categoría 2; se espera un primer impacto durante la madrugada del domingo
Agosto 19, 2023
Se mantiene zona de vigilancia por efectos del huracán desde Huatabampito hasta Guaymas y se llama a seguir las recomendaciones de Protección Civil
Huracán "Hilary": habilitan albergues temporales en Sonora
Agosto 19, 2023
El gobernador Alfonso Durazo dio a conocer mediante su cuenta de Twitter los lugares que estarán a disposición de la población vulnerable
Huracán "Hilary" se degrada a categoría 3, pero se mantiene alerta amarilla en Sonora
Agosto 19, 2023
En la entidad hay 18 municipios en alerta por los posibles efectos del fenómeno meteorológico
Huracán "Hilary": cae la lluvia más fuerte del año en Navojoa
Agosto 19, 2023
Esta mañana el Estado de Sonora pasó de alerta verde a amarilla, por lo que recomiendan extremar precauciones
Huracán Hillary: ¿qué significan las alertas roja, naranja, amarilla, verde y azul?
Agosto 18, 2023
Dependiendo del color de las alertas es la peligrosidad de los ciclones, por lo se mantiene constante monitoreo para informar a la población
Huracán "Hilary": Sonora pasa a alerta verde; Alfonso Durazo instruye monitoreo constante
Agosto 18, 2023
El fenómeno meteorológico podría impactar en un lapso de entre 24 y 72, por lo que se recomienda extremar precauciones
Clima en Sonora: Huracán "Hilary" dejará lluvias en varias zonas del estado y el calor cederá un poco
Agosto 18, 2023
Varios municipios de la entidad se mantienen en alerta azul por los posibles efectos del fenómeno meteorológico
Huracán "Hilary": estos son los municipios de Sonora en alerta azul
Agosto 18, 2023
Las autoridades recomiendan a la población mantenerse informados del avance del fenómeno meteorológico
Huracán "Hilary" ya alcanzó la peligrosa categoría 4; se mantiene vigilancia en estas zonas de Sonora
Agosto 18, 2023
El sistema meteorológico avanza rápidamente y se pronostican lluvias intensas en varias entidades del país; autoridades recomiendan estar alertas
Hilary ya es categoría 3, estados del Pacífico continúan en alerta
Agosto 17, 2023
Según el SMN podría intensificarse a categoría 4 para este viernes provocando mayores estragos al tocar tierra
Huracán Hilary: estos son los estados que podría afectar
Agosto 17, 2023
Se mantiene la categoría 2 y sus extensas bandas nubosas ocasionan lluvias de fuertes a intensas en estados del occidente, centro y sur de México
Huracán "Hilary" ya es categoría 2; esta es su trayectoria
Agosto 17, 2023
Se mantienen zonas de prevención y vigilancia debido a los efectos que este fenómeno pudiera presentar en algunos estados
Clima en Sonora. ¿"Hilary" tocará tierra sonorense?; esto dice la Conagua
Agosto 17, 2023
Esta mañana el fenómeno meteorológico cobró intensidad y se convirtió en huracán categoría 1; por lo que llaman a la población a extremar precauciones
"Hilary" se intensifica a huracán categoría 1; estos son los pronósticos para Sonora
Agosto 17, 2023
Autoridades llaman a la población a mantenerse alertas por los posibles embates del fenómeno meteorológico en diversas entidades del país

























