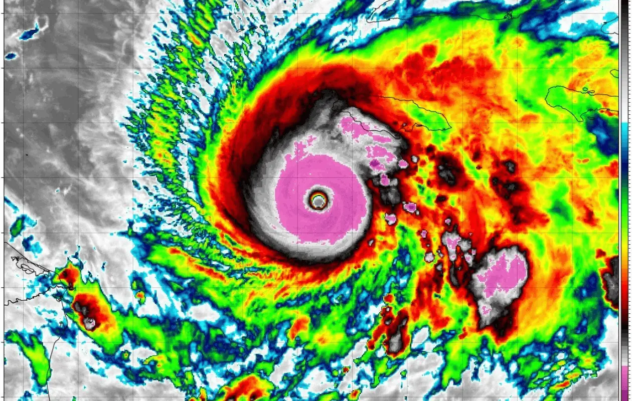
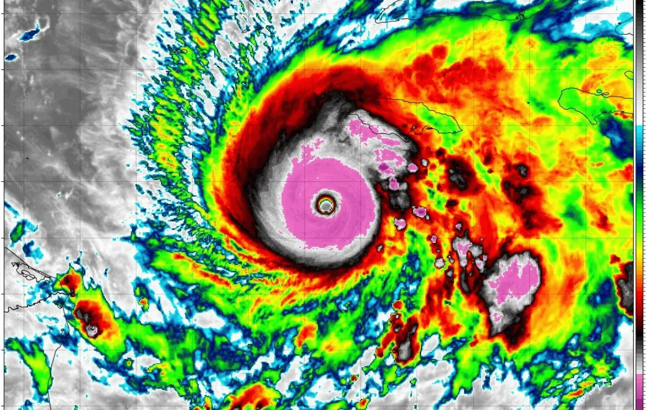
El huracán "Melissa" podría convertirse en una de las peores catástrofes naturales en la historia reciente del Caribe. Con vientos sostenidos de 281 km/h, el ciclón alcanzó la categoría 5, la máxima en la escala Saffir-Simpson, mientras avanza lentamente hacia Jamaica y Cuba.
En esta región las autoridades han declarado alerta máxima ante el riesgo de un desastre humanitario y económico.
Según el Centro Nacional de Huracanes de Estados Unidos (NHC), "Melissa" se encontraba a 210 kilómetros al sur-suroeste de Jamaica, tras haberse detenido sobre el mar durante horas, lo que potenció su fuerza destructiva.
Los meteorólogos advierten que la tormenta podría causar inundaciones repentinas catastróficas, deslizamientos de tierra y daños estructurales severos en viviendas e infraestructura.
DEJARÁ ENORMES PÉRDIDAS ECONÓMICAS
Las pérdidas económicas podrían alcanzar los 19 mil millones de dólares, de acuerdo con estimaciones de Chuck Watson, experto de Enki Research. Jamaica sufriría alrededor de 14 mil millones en daños, mientras que Cuba podría registrar pérdidas de 5 mil millones adicionales cuando el huracán toque tierra el martes 28 de octubre.
El impacto ya se siente y dos aeropuertos internacionales en Jamaica suspendieron operaciones, empresas evacuaron a sus trabajadores y la Marina de Estados Unidos retiró al personal no esencial de su base en Guantánamo, Cuba.
El gobierno jamaiquino desplegó maquinaria pesada para despejar carreteras y mantener abiertos los principales accesos, mientras la petrolera estatal Petrojam activó protocolos de emergencia y garantizó combustible para dos semanas.
Los especialistas advierten que el avance lento de "Melissa" agravará las inundaciones, prolongando las lluvias más intensas durante varios días.
Además, el fenómeno podría seguir su trayectoria hacia las Bahamas y Bermudas el jueves 30 de octubre, elevando aún más el costo económico y humanitario en una región ya golpeada por los efectos del cambio climático.





